ぶどうの栽培記録
2008年7月23日~2012年9月10日
2012年09月10日 ぶどう「デラウエア」の収穫

収穫時期が少し遅かったようで、萎びれてしまった房が3個もあった。
甘みや粒の大きさはOK。
種なし作業をした時期がずれていたが、半分は種なしになっていた。
今回も9房残していたが、鉢植えではやはり多すぎるようで、ひと房が小さい。
変な欲は捨て、来年こそは最終4~5房にしよう
2012年08月22日 巨峰の収穫

巨峰を全て収穫した。
先日試し採りした時の状況が気になっていたので少し早目の収穫。
下が閉じた袋の中は密封状態に近いので温度が上がりすぎて実がダメになっているのではないかという心配も。
袋の下を切り開き中をのぞくと、結構色付いているが試し取りをした時と同様、3分の1から、2分の1の実が破れたりしぼんだりしていた。
左の画像の実はほとんど痛んでいなかったが1房17粒ほど。
大きな実が3つほどあり、寸法は27mm×33mm。
この大きな実を食べてみると結構甘く種無しになっていたが、他の房の実を食べると種が残っている実があった。
今回は12房の収穫だったが、去年のデラウエアと同様少し実をつけすぎたのかもしれない。
2011年12月に鉢植えから地植えに変更したばかりなので、根の張りが充分ではなく樹勢がまだ弱いと思われる。
根張りがしっかりすれば10房ぐらい大丈夫と思うが、4~5房が適正なのかもしれない。
2012年08月14日 巨峰の試し採り と 袋かけした画像追加
収穫時期がわからなかったので、下が開いた袋の中をのぞき色付きの良いものを1房試し採りして食べてみた。
まだ少し早かったようで、完塾ではなかったがしっかりと甘味も付いており美味しかった。しかも、種なしブドウになっていた・・・大成功
20粒ほど実が付いていたが、半数の実がダメになっていた。皮が破れたり穴があいたりしており、虫にやられたのか、もともと傷が付いていたのか不明。それとも袋かけが早すぎたのが原因か?
他の袋をみると、表面にアリが結構這いまわっている。皮が破れ甘い汁が出て寄ってきたのだと思う。
ブドウ園のホームページを見ると、収穫はだいたい9月初旬のようだ。ぶどう狩りもこのあたりから始まる。
| 今日、巨峰の試し取りをしてみた。 まだ少し早かったようで、完塾ではなかったが しっかりと甘味も付いており美味しかった。 しかも、種なしブドウになっていた・・・大成功 平均的な実の大きさ 23mm×27mm |
袋かけをした画像が無かったのでついでに撮影した。 大きな房は下が開いていない袋を使用 小さな房は下が開いた袋を使用 |
|
|
2012年06月11日
巨峰に2回目のジベレリン処理と 袋かけ を行った
ぶどうの粒が1回目の時に比べだいぶ減ってしまった。これが花ぶるいというのかどうかは不明。
下の画像のように大きな粒や小さな粒が入り混じり、さらに実にならずに寂しい房もある。
●追記 (後で分かった大切な事!)
・・・袋かけは実が大きくなり、1~2粒にほんのり色がついたころに行うらしい。
・・・袋は密封にせず下が開いたものを使用する。日中袋の中が高温になり実が痛む。
![]() |
![]() |
![]() |
![]() |
ジベレリン処理の後、取り敢えず底の無い袋をかぶせた。りんご用の袋は長さが少し短いので底を切って使用した。
ホームページを見ると、袋ではなく傘をかぶせるところも有りこれと似たようなものなのでこれで様子を見る。
袋の数は12個。最終何個になるかなぁ~・・・・・
![]() |
![]() |
2012年06月07日
6日の夕方、デラウエアに2回目のジベレリン処理を行った。
挿し木の現状と、気になる葉っぱ・・・
6日の夕方、予定より半日早くデラウエアに2回目のジベレリン処理を行った。
1回目の時期を失敗しているので2回目も少し適当な気持ちになってしまった。
満開から数えると今日は9日目となるが、満開が遅かった花穂の場合は7~8日目だと思う。
なんといい加減なことか!・・・
デラウエアの花穂は今日現在11個ある。
しかし実がついていないのが1~2房ありそうだ。房の粒が小さくどう見ても実になっていないように見える。
| デラウエア 実がついている房 |
デラウエア ほとんど実がついていないと思われる房 |
巨峰 ジベレリン処理をした後反り返った |
![]() |
![]() |
![]() |
| ピオーネ 挿し木がどんどん大きくなっている |
巨峰 5月初旬にイチゴの端に挿し木したもの。 |
ピオーネ 葉っぱに黒いものが・・・ |
![]() |
![]() |
![]() |
2012年06月01日
巨峰の花穂に1回目のジベレリン処理(種無し処理)を行った

5月28日に巨峰の花穂の先端を4~5cm残して整形した時はまだ花が咲いていないところが3分の2ぐらいあったが、今日ほとんど咲いたのでジベレリン処理を行った。
巨峰は満開から満開5日後までにジベレリン処理をすれば良いらしいので多少の開花のばらつきは吸収出来る。
前回残した袋の中身40mg の内10mgを使用し、25ppm溶液を400ml 作った。
コップ2杯分出来たが、わずか13房の処理では多すぎもったいないが仕方が無い。
巨峰の2回目のジベレリン処理は、満開の10~15日後の6月13日の予定。
巨峰の花穂は今日現在13個ある。
木の先の方の花穂は大きく、根に近い方は少し小さい。
2012年05月28日
ぶどうの現況と、巨峰の花穂の整形
24日にデラウエアにジベレリン処理(種無し処理)を行ったが、今日満開になってしまった。
満開の14日前にジベレリン処理を実施する必要があったのに、結果4日前の実施となった。
デラウエアの2回目のジベレリン処理は、満開の10日後 6月7日の予定。
デラウエアを今日見ると、満開の枝の葉数(10円玉以上)は11~12枚であった。まだ花が咲いていない枝は8~9枚程度。
5月16日に間引きを行ったがあの時にジベレリン処理を実施しておけばちょうどよかったようだ。
しかしこの時は花穂の大きさは2cm以下でまだまだ先だと思った。
巨峰もデラウエアも、5月24日に「副穂」の部位を切り取っておいたので、今日は巨峰の花穂の整形を実施。
先端から4~5cm残して、他の支梗を取り除いた。ぶどう農園のホームページを見ると3~3.5cm残すらしいが、失敗するといけないので少し長めに残した。
今日現在巨峰は13房あるが、様子を見て房も間引く必要があるかもしれない。
| 巨峰はほとんどの花穂が開花しているが、花穂の先端部分はまだ開花していない。もう少しで満開になりそう。 花穂の大きさは、10~13cmぐらい。小さいのは7~8cmぐらい。 |
デラウエアは半分ぐらいが満開。花穂の大きさは、4~5cmぐらい。 残りの四分の一ぐらいはまだ開花していない。小さいのは3cmぐらい |
ピオーネの挿し木は順調に成長しているようなので、 様子を見て植え替える予定。 |
![]() |
![]() |
![]() |
2012年05月24日
デラウエアの花穂に1回目のジベレリン処理(種無し処理)を行った

デラウエアにジベレリン処理(種無し処理)を行った。
作業前に、デラウエアと巨峰の「副穂」の部位を切り取っておきました。
ホームセンターでジベレリン協和粉末を980円で買って来た。50mg 4包入り。
1包みで100ppm溶液が500ml 作れる。
1回目の処理は開花の14日前となっているが全く見当が付かない。
色々ホームページで調べてみると枝の葉数が8枚以上がひとつの目安(10円玉より大きな葉)。
現状10円玉より大きな葉は6枚~10枚ぐらいである。花穂の大きさも2cm~4cmとバラバラ。
平均は3cm前後。少し早いかもしれないが、まぁ~ええか!てな調子。
プロのように数回に分けて実施するほど真面目ではないので、今日実施。
袋の中身50mgを5等分し、100ppm溶液を100ml作った。
作った水溶液は不安定なので、必要な分だけ作り1回で使い切ったほうが良いそうだ。
次は満開の10日後に2回目のジベレリン処理を行います。
巨峰の1回目は満開~満開の3日後に行うのでまだ先です。
2012年05月16日
巨峰とデラウエアの花穂、「ピオーネ」の移動と挿し木の現状
巨峰は玄関横に緑のカーテンを作る為地植えに変えたので結構勢いが良い。1つの新梢に1房とするため今日花穂を間引いた。
デラウエアは去年欲張って実をつけ過ぎたので今年は木が少し弱っているかもしれない。こちらはまだ花穂が小さいが1つの新梢に1房とするため同じように間引いた。
どちらもまだ12~15房残っているが、最終的にはもっと間引く必要があると思う。
| 巨峰の花穂(5~10cmとばらつきがある) | デラウエアの花穂(2cm前後とまだ小さい) |
![]() |
![]() |
![]() |
左の画像は、玄関横の窓に緑のカーテンとして巨峰だけでは横幅が足りないので、横幅を追加する目的で去年の12月19日に鉢植えしたピオーネを地植えに変更したもの。 下の画像は、4月9日に挿し木したピオーネの現状。 どのくらい根が出ているのかまだ確認していない。 |
![]() |
2012年04月25日
ぶどう「ピオーネ」の挿し木に新芽が出た。その他のぶどうも元気
| 巨峰の新芽はどんどん大きくなっている | デラウエアーの新芽もだいぶ膨らんできた |
![]() |
|
| 12月19日に植えたピオーネにも新芽が出た | 4月9日に挿し木したピオーネに新芽が出た |
![]() |
|
2012年04月17日 新芽が出てきた
| 巨峰 | デラウエアー |
|
|
2012年04月09日 ピオーネを挿し木してみた
去年の12月にピオーネを鉢植えする時にカットした枝を、3等分して冷蔵庫で保管していた。
ホームページを参考に今年の3月上旬に保管していた枝を挿し木してみた。
失敗してもともと、うまくいけば儲けもの。根がついたら鉢植えし2階のベランダで育てる予定。
今日現在土の中がどうなっているかは不明。6月頃に結果を見る予定。

2011年12月19日
ピオーネを直径45cmの鉢に植えた

フェンスに這わす予定なので少し大きく育てたい。
今までのよりかなり大きい直径45cmの鉢に植えてみた。
地植えの場合実がつくのが遅くなると聞いているが、ブドウは結構早く実がつくので大丈夫だろうと安易に考えている。
2011年12月15日
夏場にグリーンカーテンを作る為に窓の近くに地植えした

今年の夏は窓際に鉢植えを置いてグリーンカーテンを作ってみたが、7月からはじめたのでだいぶ遅かった。
しかも周りが狭いので邪魔になり対策が必要だった。
そこで今回は前の垣根の中に地植えにした。
窓から少し離れた所にカーテンを作れば邪魔にならず、地植えにすれば木も大きくなり役に立つグリーンカーテンになるかも・・・・・。
期待をかけて横幅3m強の枠組みも作った。
2011年12月09日
雨の日ホームセンターでつい衝動買いしてしまった「ピオーネ」
今年はなんとなくぶどうの育て方がわかったような気がする。
先月新規オープンしたロイヤルホームセンターに立ち寄ると、色々な苗木が販売されていた。
目に付いたのは、数種類のみかんと、数種類のぶどう。
あれこれ欲しかったが、みかんとぶどうを各1本購入。
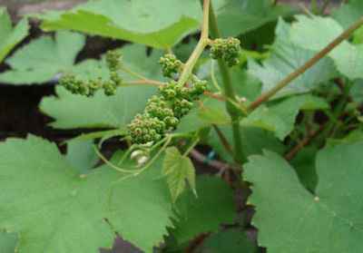
2011年09月26日 実をつけ過ぎたデラウエアを収穫

3年目で2回目の収穫は、直径20cmのボールに山盛りの収穫となった。
実をつけ過ぎたため完全に熟しきらず、青みが残った粒や、逆に収穫を遅らせたため少ししなびた粒がある。
選別した結果、左の画像の3分の1が残った。
最初から房の数を3分の1ぐらいにしておけばもっとおいしいぶどうが収穫できたと思うのだが・・・・・。
来年こそは、花房の整形、摘房、摘粒をまじめにやろうと思っている。
赤みがついている実の味は最高だった。赤みが足りない実も甘さが足りないくらいで、青臭さや渋み等は無かった。
2011年07月06日
たくさん実が付いている。巨峰でグリーンカーテンに挑戦。
| 今年は巨峰にも実が付いてくれた。 房は4つほどだが味が楽しみだ。 |
デラウエアには去年よりも沢山の房がついている。 幹も去年より太いので肥料をきっちり与えれば 甘くなってくれると期待している。 |
![]() |
![]() |
巨峰でグリーンカーテンを作ろうと思い、鉢植えのままだがアンドン作りをバラして添え木に這わしてみたが時すでに遅し。
シーズンの初めからやっておかないと全面に広がらない。
本気でするには鉢植えから地植えにしないといけないかも・・・・

2011年05月12日
巨峰とデラウエアに小さなつぼみがついた
| 巨峰 | |
![]() |
全部で4個の房を確認した。 去年はゼロだったので上出来かもしれない。 ![]() |
| デラウエア(数えるのが面倒なほど沢山の房がついている) | |
![]() |
![]() |
2010年11月16日
デラウエアは葉が落ち、巨峰の葉は黄色く色づいている


2010年09月01日 「デラウエア」収穫
あまり木にならしたままにしておくと水分が抜けてしまうと聞いたので収穫した。
店で売られているものと比較すると、粒はかなり小さいが味はいっちょまえに美味い。
2年目のまだ細い木なので、本来なら2房程度実らせれば良かったと思う。
直径18cmほどのお皿なので、房や粒が結構小さいのがわかる。ちなみに、粒の直径の平均サイズは13mmぐらい。
![]() |
![]() |
2010年08月23日
「デラウエア」の実が色づいたので試し採りしてみた

鉢植え2年目 初収穫
20房ぐらい実をつけたので房は小さくなりました。
きれいに色づいたので試し採りで一番小さな房を収穫しました。
画像は大きく見えるが、デラウエアなので小さな粒。
店で買ったのと同じように、少し酸味もあり甘くて最高。
ただし種無しにしていないので食べるのが少し面倒
2010年08月21日
「デラウエア」の実が色づいて美味しそう
2年目なのにたくさんの房を付けさせたので一つ一つの房は小さいが、身の大きさはスーパーで売られているのと同じような大きさだ。
種無しにはしていない。まだ収穫していないので味はわからないが期待している・・・・・。
![]() |
![]() |
2010年07月08日 今日の画像
デラウエアの実がだんだん大きくなってきたが粒が揃っていない。
鉢植えの下から覗き込んで撮影した。

2010年06月17日 今日の画像を追加
| 巨峰(実がつかなかった) | デラウエア | デラウエアの実が3~5cmになった |
![]() |
![]() |
![]() |
2010年05月11日 今日の画像を追加
(ぶどうの小さなツボミ と 巨峰の種から発芽準備)
はじめてぶどう(デラウエア)の小さなツボミを見ました。全長は約2cm。
左の画像の矢印の先端に小さなツボミが。 右の画像がツボミのアップ。


去年食べた巨峰の種を発芽させるため、プラケースにコットンを敷き種がちょうど浸かる位水を入れた。
これを温室代わりに熱帯魚の水槽に浮かべて保温。(去年マクワうりの発芽に使用)

2010年04月19日 今日の画像を追加
左の画像が巨峰、右がデラウエア。
新芽がだいぶふくらんだ。
|
|
2010年03月15日 巨峰を7号鉢から9号鉢に植え替えた
左の画像が巨峰、右がデラウエア。
デラウエアほ少し大きめの鉢なので今回は植え替えをしなかった。
|
|
2009年06月09日 今日の画像を追加
左の巨峰とデラウエア。
蔓がだいぶ長くなったのでアンドン作にするため支柱を立てた。


2009年05月13日
ぶどう「巨峰」のメインにする蔓(つる)が 折れた・・・・・
4月28日の画像と比較するとわかりますが、メインにする予定の蔓が折れてしまった。
女房が朝水遣りをした時ホースを引っ掛けてしまった。わざとではないので仕方無し。左側の予備のつもりで伸ばしていた蔓を大切に伸ばしていくことにする。
右の画像は折れた蔓を挿し木してみた。


2009年04月28日 今日の画像を追加
左が巨峰、右はデラウエアー


2009年04月22日 ついにデラウエアーにも新芽が出た
デラウエアーの根の張りが悪いので心配していたが、どうにか新芽が出てくれた。

2009年04月09日 今日の画像を追加
左側の巨峰は中央のような新芽が出たが右のデラウエアーはまだ新芽が出ていない。
心配で根を確認すると植えた時と同じで全く増えていないように見える。



2008年11月14日 鉢植えを2階のベランダへ移動

左が 巨峰。
右が デラウェアー
2008年10月10日 ぶどう巨峰を鉢植えに変更

地植えしていたものを8号の植木鉢に植え替え。
アンドン仕立てで育てると場所もとらず収穫もしやすそうである。
濃厚な甘さでコクがあるぶどうの王様を食べるのが楽しみ。
2008年10月08日 ぶどう「デラウェアー」の鉢植え

ぶどうの種類を増やしたくて、ホームセンター「ロイヤルビックス」で695円で購入した「デラウェアー」の苗木を8号の植木鉢に植えつけ。
昔から誰にでも愛されている小粒の種無しぶどうの代表格。
1粒1.2g程の小粒で育てやすく鉢栽培にも適しています。
糖度高く、甘味が強いのが特徴です。
2008年07月23日 ぶどう巨峰の地植え
ホームセンター「ロイヤルビックス」で巨峰(きょほう)ぶどうの苗を見つけ695円で購入、家庭菜園に追加。
紫色の大きな実は大好物なので、ぶどうなら巨峰と決めていた。
現在の高さは50cm程なのでまだまだ時間がかかりそう。(ホームページを見ると実が付くのは3年先らしい)

左横に見える白いポールはベランダの足。この足に沿って立ち上げベランダの縁をぶどう棚にする予定だが、涼しくなってからゆっくり考える。





















































